Dudenhofen | KFW Kredit Nr. 297, 298
Beschreibung
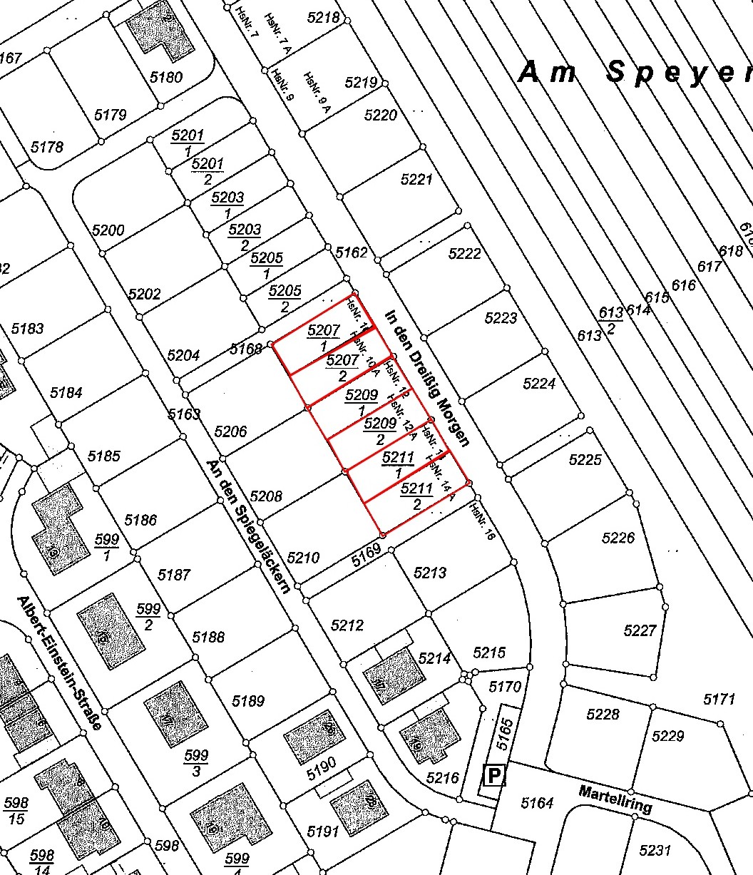
„In den Dreißig Morgen“, im Neubaugebiet von Dudenhofen, errichten wir 6 Doppelhaushälften. Die Häuser verfügen über ein Erd-, Ober- und Dachgeschoss. Mit unserer Ausbauvariante besteht die Möglichkeit, einen separaten Elternbereich mit Schlafzimmer und separatem Duschbad entstehen zu lassen.
KFW
KFW Kredit Nr. 297. 298
Gefördert wird der Neubau und Erstkauf klimafreundlicher Wohngebäude und Eigentumswohnungen:
- Förderkredit ab 1,46 %
- effektivem Jahreszins
- für Neubau und Erstkauf
- bis zu 150.000 Euro je Wohnung
- für Privatpersonen, Unternehmen und andere Investoren
- bis zu 35 Jahre Laufzeit und bis zu 10 Jahre Zinsbindung
Wohneinheiten
– Haus 1 | Wohnfläche 130m² | Flurst.5211/2 | Grundstück 209m² | *verkauft*
– Haus 2 | Wohnfläche 130m² | Flurst.5211/1 | Grundstück 209m² | 569.990 €
– Haus 3 | Wohnfläche 130m² | Flurst.5209/2 | Grundstück 208m² | 569.990 €
– Haus 4 | Wohnfläche 130m² | Flurst.5209/1 | Grundstück 208m² | 569.990 €
– Haus 5 | Wohnfläche 130m² | Flurst.5207/2 | Grundstück 207m² | *verkauft*
– Haus 6 | Wohnfläche 130m² | Flurst.5207/1 | Grundstück 207m² | *verkauft*
Ausstattung der Häuser
– REAL GETEILTES GRUNDSTÜCK,
– Massivbauweise,
– Erschließung,
– Hausanschlüsse,
– Offenes Studio im Dachgeschoss,
– Innentreppe mit massiven Echtholzstufen,
– Fenster in WC und Bad mit Satinato-Verglasung,
– Innenfensterbänke in Gussmarmor,
– Sanitäreinrichtungsgegenstände Renova Plan und Vigour,
– Außenzapfstelle frostsicher auf Terrasse,
– Tageslichtbad mit Badewanne, Dusche und Handtuchwärmekörper,
– Offene Küche,
– Estrich,
– Fußbodenheizung,
– Fenster mit 3-fach Wärmeschutzverglasung und elektrisch gesteuerten Rollläden
– Fliesenarbeiten in den Bädern,
– Separates Gäste WC,
– Wohnungsinnentüren mit Edelstahl-Drückergarnitur,
– Hauseingangstür mit Mehrfachverriegelung und Stoßgriff in Edelstahl,
– Luft-Wasser-Wärmepumpe,
– Terrassenplatten mit Natursteinvorsatz,
– Hauszugang gepflastert,
– Grundrisserweiterung mit unserer Ausbauvariante möglich
Lage
Dudenhofen ist mit rund 6.000 Einwohnern eine Ortsgemeinde im Rhein-Pfalz-Kreis und gehört zur Verbandsgemeinde Römerberg-Dudenhofen. In gerade einmal 9 Minuten Fahrt ist man in Speyer und hat am Bahnhof Anschlüsse an die Verbindungen nach Ludwigshafen (13 Minuten), Mannheim (20 Minuten), Germersheim (10 Minuten), Karlsruhe (40 Minuten). In gerade einmal 9 Minuten Fahrt ist man in Speyer und hat am Bahnhof Anschlüsse an die Verbindungen nach Ludwigshafen (13 Minuten), Mannheim (20 Minuten), Germersheim (10 Minuten), Karlsruhe (40 Minuten).
Einkaufsmöglichkeiten:
– Rewe
– Wasgau
– Penny
– Bäcker Görtz
– Wilhelmis Brotkorb GmbH
– naturPur Shop
– La Fontanella (Italienische Lebensmittel)
– Patisserie Sprengart
– OIL! Tankstelle
– Asparagus-Apotheke e.K.
– Schiller Apotheke
Arztpraxen:
– Dr. med. Emine Straube & Kolleg(inn)en (Kinder- und Jugendärzte)
– Hausärztliche Gemeinschaftspraxis Dudenhofen
– Dr.med. Winfried Oehl (Allgemeinmedizin)
– Dr. med. Anette Neumeister (Fachärztin für Anästhesiologie)
– Physiozentrum Linn Schwarzkamp
– Podologie Annette Yilmaz
– Dr. med. dent. Uwe Wendel (Zahnarzt
– Dr. med. Helmut Ofer (Allgemein- und Sportmedizin)
– Dr. med. Heike Lenhard (Gynäkologie und Geburtshilfe)
– Praxis Sabine Bierig (Heilpraktikerin)
Bank:
-Vereinigte VR Bank Kur- und Rheinpfalz eG,
-Sparkasse Vorderpfalz
Kindergärten/ Schulen:
– Kindertagesstätte St. Kunigunde
– Kita Naseweis
– Kindertagesstätte Sandhase
– Realschule Plus Dudenhofen
– Clemens-Beck-Grundschule Dudenhofen
Vereine:
– TV 1897 Dudenhofen e.V. (Sportverein)
– FV Dudenhofen 1920 e.V. (Fußball)
– RV08 Dudenhofen e.V. (Radsportverein)
– Turnerheim TV 1897 Dudenhofen e.V.
– Liedertafel Dudenhofen
– Reit- und Fahrverein Dudenhofen e.V.
– Tennisclub Dudenhofen e.V.
– SV OG Speyer/Dudenhofen (Hundeschule)
Ausstattung der Immobilie
Grundriss





Bautagebuch



















































