Lachen-Speyerdorf







Beschreibung
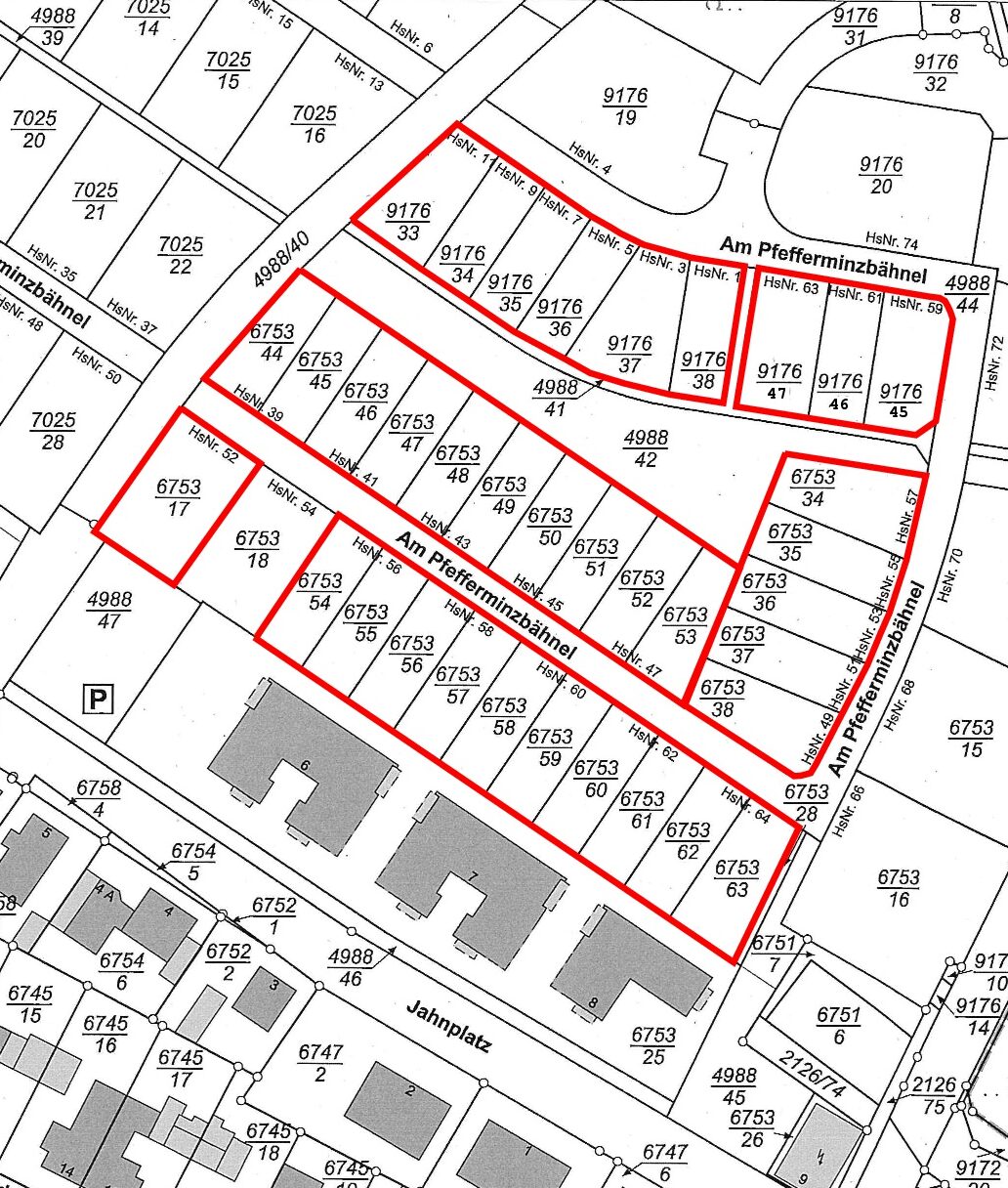
Im Weinort Lachen-Speyerdorf entsteht unser Neubauprojekt am Jahnplatz mit insgesamt 22 Doppelhaushälften und 13 Einfamilienhäusern. Alle Häuser werden auf real geteilten Grundstücken errichtet.
Mit unserer Ausbauvariante besteht die Möglichkeit, einen separaten Elternbereich mit Schlafzimmer, Ankleide, Duschbad und Abstellraum entstehen zu lassen.
Ausstattung der Häuser
– REAL GETEILTES GRUNDSTÜCK,
– Erschließung,
– Hausanschlüsse,
– offenes Studio im Staffelgeschoss,
– Fenster im Bad mit Satinato-Verglasung,
– Tageslichtbad mit Badewanne, Dusche und Handtuchwärmekörper,
– Estrich,
– Fußbodenheizung,
– Fenster mit 3-fach Wärmeschutzverglasung
– offene Küche
– Flachdach extensiv begrünt,
– Fliesenarbeiten in den Bädern,
– Abstellraum im OG,
– Sanitäreinrichtungsgegenstände Renova Plan und Grohe,
– Separates Gäste WC,
– Innentreppe mit massiven Echtholzstufen,
– Innenfensterbänke in Gussmarmor,
– Wohnungsinnentüren mit Edelstahl-Drückergarnitur,
– Hauseingangstür mit Mehrfachverriegelung und Stoßgriff in Edelstahl,
– Fernwärme,
– Brennstelle, Außensteckdose und Außenzapfstelle frostsicher auf Terrasse,
– Hauszugang gepflastert,
– Terrassenplatten mit Natursteinvorsatz,
– Grundrisserweiterung mit unserer Ausbauvariante möglich
Wohneinheiten
– Haus 1 | Doppelhaushälfte | Wohnfl. 141 m² | Flurst. 6753/63| Grundstück 298 m² | 529.990,00 €
– Haus 2 | Doppelhaushälfte | Wohnfl. 141 m² | Flurst. 6753/62 | Grundstück 246 m² | 519.990,00 €
– Haus 3 | Doppelhaushälfte | Wohnfl. 141 m² | Flurst. 6753/61 | Grundstück 246 m² | 499.990,00 €
– Haus 4 | Doppelhaushälfte | Wohnfl. 141 m² | Flurst. 6753/60 | Grundstück 246 m² | 499.990,00 €
– Haus 5 | Doppelhaushälfte | Wohnfl. 141 m² | Flurst. 6753/59 | Grundstück 246 m² | 519.990,00 €
– Haus 6 | Doppelhaushälfte | Wohnfl. 141 m² | Flurst. 6753/58 | Grundstück 246 m² | 519.990,00 €
– Haus 7 | Doppelhaushälfte | Wohnfl. 141 m² | Flurst. 6753/57 | Grundstück 246 m² | 519.990,00 €
– Haus 8 | Doppelhaushälfte | Wohnfl. 141 m² | Flurst. 6753/56 | Grundstück 246 m² | 519.990,00 €
– Haus 9 | Doppelhaushälfte | Wohnfl. 141 m² | Flurst. 6753/55 | Grundstück 246 m² | 519.990,00 €
– Haus 10 | Doppelhaushälfte | Wohnfl. 141 m² | Flurst. 6753/54 | Grundstück 246 m² | 519.990,00 €
– Haus 11 | Einfamilienhaus | Wohnfl. 141 m² | Flurst. 6753/17 | Grundstück 427 m² | 689.990,00 €
– Haus 12 | Doppelhaushälfte | Wohnfl. 141 m² | Flurst. 6753/45 | Grundstück 241 m² | ***verkauft***
– Haus 13 | Doppelhaushälfte | Wohnfl. 141 m² | Flurst. 6753/45 | Grundstück 241 m² | ***verkauft***
– Haus 14 | Doppelhaushälfte | Wohnfl. 141 m² | Flurst. 6753/46 | Grundstück 241 m² | 534.990,00 €
– Haus 15 | Doppelhaushälfte | Wohnfl. 141 m² | Flurst. 6753/47 | Grundstück 241 m² | 534.990,00 €
– Haus 16 | Doppelhaushälfte | Wohnfl. 141 m² | Flurst. 6753/48 | Grundstück 241 m² | 534.990,00 €
– Haus 17 | Doppelhaushälfte | Wohnfl. 141 m² | Flurst. 6753/49 | Grundstück 241 m² | 534.990,00 €
‚- Haus 18 | Doppelhaushälfte | Wohnfl. 141 m² | Flurst. 6753/50 | Grundstück 241 m² | 534.990,00 €
– Haus 19 | Doppelhaushälfte | Wohnfl. 141 m² | Flurst. 6753/51 | Grundstück 241 m² | 534.990,00 €
– Haus 20 | Doppelhaushälfte | Wohnfl. 141 m² | Flurst. 6753/52 | Grundstück 241 m² | 534.990,00 €
– Haus 21 | Doppelhaushälfte | Wohnfl. 141 m² | Flurst. 6753/53 | Grundstück 248 m² | 529.990,00 €
– Haus 22 | Kettenhaus | Wohnfl. 141 m² | Flurst. 6753/38 | Grundstück 291 m² | 584.990,00 €
– Haus 23 | Kettenhaus | Wohnfl. 141 m² | Flurst. 6753/37 | Grundstück 257 m² | 589.990,00 €
– Haus 24 | Kettenhaus | Wohnfl. 141 m² | Flurst. 6753/36 | Grundstück 261 m² | 594.990,00 €
– Haus 25 | Kettenhaus | Wohnfl. 141 m² | Flurst. 6753/35| Grundstück 259 m² | 594.990,00 €
– Haus 26 | Kettenhaus | Wohnfl. 141 m² | Flurst. 6753/34| Grundstück 308 m² | 594.990,00 €
– Haus 27 | Kettenhaus | Wohnfl. 141 m² | Flurst. 9176/47| Grundstück 320 m² | 594.990,00 €
– Haus 28 | Kettenhaus | Wohnfl. 141 m² | Flurst. 9176/46| Grundstück 232 m² | 584.990,00 €
– Haus 29 | Kettenhaus | Wohnfl. 141 m² | Flurst. 9176/45| Grundstück 293 m² | 594.990,00 €
– Haus 30 | Doppelhaushälfte | Wohnfl. 141 m² | Flurst. 9176/38 | Grundstück 232 m² | 559.990,00 €
– Haus 31 | Doppelhaushälfte | Wohnfl. 141 m² | Flurst. 9176/37 | Grundstück 340 m² | 579.990,00 €
– Haus 32 | Kettenhaus | Wohnfl. 141 m² | Flurst. 9176/36 | Grundstück 234 m² | 584.990,00 €
– Haus 33 | Kettenhaus | Wohnfl. 141 m² | Flurst. 9176/35| Grundstück 233 m² | 584.990,00 €
– Haus 34 | Kettenhaus | Wohnfl. 141 m² | Flurst. 9176/34| Grundstück 233 m² | 584.990,00 €
– Haus 35 | Kettenhaus | Wohnfl. 141 m² | Flurst. 9176/33| Grundstück 286 m² | 594.990,00 €
Lagebeschreibung
Einkaufsmöglichkeiten:
– Lidl
– Königsbäckerei & Hofcafe
– Azak Bäckerei & Konditorei GmbH
– Sonnen-Apotheke
– Rewe (folgt Neubau)
Arztpraxen:
– Susann Theobald (Logopäde)
– Katja Quell (Osteopathie & Mesologie)
– Praxis Drs. Cornelia und Axel Michael (Allgemeinärzte-Chirotherapie- Naturheilverfahren)
– Holger Menzel (Osteopathie für Kinder und Erwachsene)
– Herr Klaus Riesterer (Zahnarzt)
– Praxis Stefanie Jung (Krankengymnastik)
– Praxis Knaub (Physiotherapie)
– Dr. med. Annemarie Jung (Fachärztin für Innere Medizin, Naturheilverfahren, Fachkunde Geriatrie)
– Maria-Anna Schultheis-Isemann (Allgemeinmediziner)
– Sabrina Schneider (Physiotherapie)
Banken:
– VR Bank Südpfalz eG
Kindergärten/ Schule:
– Städtische Kindertagesstätte
– Integrative Kita Regenbogen
– Kita Städtisch Lachen-Speyerdorf
– August-Becker-Schule Grundschule
Vereine:
– Turn und Sportgemeinschaft Lachen-Speyerdorf 1910 e.V
– Musikverein Lachen-Speyerdorf
– KC Rot-Weiss Lachen-Speyerdorf e.V. (Karnevalverein)
– Angelsportverein Lachen – Speyerdorf
– Tennisclub Blau-Weiß Lachen-Speyerdorf e.V.
– TuS Lachen-Speyerdorf Leichtathletikverein Reinhard Lingenfelder
– Pfälzerwald-Verein, Ortsgruppe Lachen-Speyerdorf e.V.
– Verein Fallschirmsportclub Neustadt/Weinstraße e.V.
– Protestantische Kirche Lachen – Prot. Kirchengemeinde Lachen-Speyerdorf
– Schützen-Club Lachen- Speyerdorf e.V.
Ausstattung der Immobilie
Grundriss





Bautagebuch

































